family CERAMBYCIDAE Latreille, 1802
subfamily LEPTURINAE Latereille, 1802
tribe Rhagiini Kirby, 1837
genus Pachyta Dejean, 1821
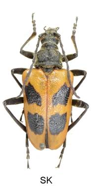
Pachyta quadrimaculata (Linnaeus, 1758)





Bionomie. Jehličnaté lesy souvislejšího charakteru. Samičky kladou vajíčka do půdy na kořeny vzdálené od kmene usychajících a suchých silnějších stromů. Larvy žerou nejprve pod kůrou a pak vstupují do dřeva. Vyvíjejí se i ve slabých kořenech. Kuklení ve vrchní vrstvě půdy. Vývoj tříletý. - Imága se u nás vyskytují od VI. do VIII., maximum VII. ponejvíce na květech např. Apiaceae, Knautia, Spirea, Sambucus aj.
Živné rostliny - Podle Čerepanova (1979) je na Sibiři vázán na Pinus, u nás se bude vyvíjet asi také v jiných dřevinách, protože bývá hojný především v Picetech.
Variabilita. Variabilní je tvar černých skvrn. Vzácně chybí přední černé skvrny, nebo jsou rozděleny, nebo výjimečně chybí zadní. Někdy jsou na vnější straně spojeny.
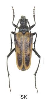
Pachyta lamed lamed (Linnaeus, 1758)










Bionomie. Lesy převážně vyšších poloh v místech původního výskytu smrku. Vývoj nejčastěji v kořenech pouze silných a starých stojících stromů. Stromy musejí být krátce uhynulé, kůra na kořenových nábězích musí být ještě čerstvá. Při kladení dávají samičky přednost volně stojícím stromům s vyvinutými náběhy, rostoucím na půdě pokryté mechem, s dostatkem humusu. Larvy jsou na kořenových nábězích a povrchových kořenech až do průměru 3 – 4 cm. Na jednom stromě může být až cca 50 larev. Larvy žijí mezi kůrou a dřevem a vyžírají velké plochy, zřídka jdou do dřeva. Vývoj larev víceletý, nejméně tříletý. Kukly v humusu u stromu, ve kterém se vyvíjely. - Imága se vyskytují od konce VI. do VIII., maximum VII. Nacházejí se většinou za slunečného počasí v letu kolem stromů, ve kterých se vyvíjejí i okolních zdravých, při náletu na dříví apod. Samice často na skládkách dříví. Nenavštěvuje květy.
Živné rostliny - Spolehlivě zjištěn v Picea.
Variabilita. Krovky samců mohou být hnědé nebo černé. Skvrny na krovkách u samic mohou být redukovány, nebo navzájem propojené.